¡Atención! La Comisión Nacional del Agua (Conagua) y el Servicio Meteorológico Nacional (SMN) informaron que el Ciclón Tropical 'Narda' continúa con su trayectoria por el Pacífico y en TV Azteca Quintana Roo te contaremos todo sobre su categoría, así como su ubicación exacta en este viernes 26 de septiembre de 2025.
PODRÍA SER DE TU INTERÉS: Humberto ya es HURACÁN en el Atlántico: ¿Cuál es la categoría y ubicación EXACTA del ciclón tropical hoy?
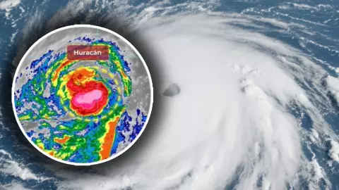
¿Cuál es la ubicación del Ciclón Tropical 'Narda' hoy?
De acuerdo con la información compartida por parte de la Conagua en su actualización más reciente al corte de las 9:41 de la mañana de hoy, viernes 26 de septiembre de 2025, el centro del huracán 'Narda', de categoría 1 en la escala Saffir-Simpson, se localiza a 1,340 kilómetros al suroeste de Cabo San Lucas, en Baja California Sur.
Explicaron que se espera que provoque olas de 2.0 a 3.0 metros en la costa occidental de Baja California Sur.
El #Huracán #Narda del océano #Pacífico, se mantiene lejos del territorio nacional se localiza a 1340 km al oeste-suroeste de Cabo San Lucas, B.C.S. pic.twitter.com/wL7crFwUxn
— CONAGUA Clima (@conagua_clima) September 26, 2025
¿Qué hacer en caso de huracán?
- Prepara un kit de emergencia: Incluye agua, comida no perecedera, linterna, baterías y un botiquín para al menos 72 horas.
- Sigue las alertas oficiales: Monitorea el Servicio Meteorológico Nacional y Protección Civil en X o radio para actualizaciones.
- Refuerza tu hogar: Asegura ventanas con tablas, guarda objetos sueltos y revisa puertas para resistir vientos fuertes.
- Identifica un refugio seguro: Busca un lugar designado por autoridades o quédate en una habitación interior sin ventanas.
- Evacúa si es necesario: Si vives en zona de riesgo, sigue las rutas de evacuación y dirígete a un albergue seguro.
PODRÍA SER DE TU INTERÉS: Canícula 2025: Así puedes proteger a tus mascotas durante la época más calurosa del año
Tradiciones de Quintana Roo: Danzas y festivales que no te puedes perder
