Mientras los científicos llevaban a cabo una misión, se encontraron con una serie de agujeros en el fondo del océano. Ahora, la NOAA pide ayuda para descifrar este descubrimiento.
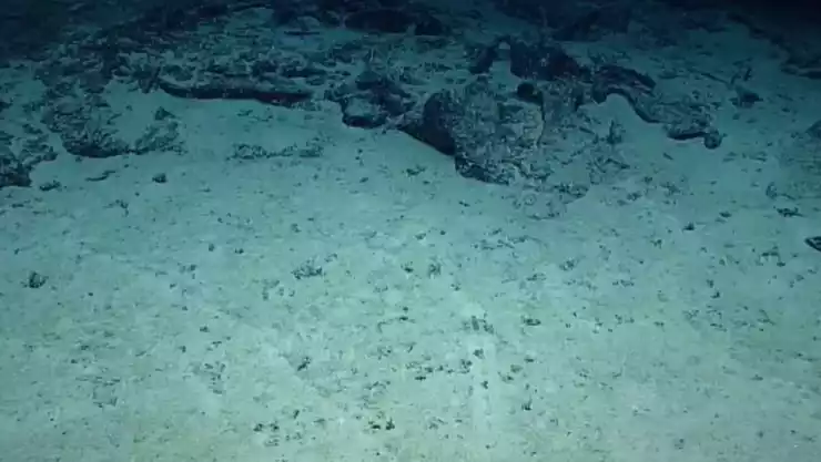
De acuerdo a la información revelada por la NOAA Ocean Exploration, el descubrimiento se realizó a 2.5 kilómetros de profundidad en el Atlántico Medio, mientras llevaban a cabo una investigación.
Luego de analizar los agujeros que se encuentran al fondo del océano, llegaron a la conclusión de que no podían explicar a qué se debía este descubrimiento. Por lo que solicitaron ayuda para buscar las respuestas necesarias.
Camera 1: Voyage to the Ridge 2022 Expedition 2: ROV & Mapping Operations
TAL VEZ TE INTERESE: ¿La Tierra está en peligro? Reportan a cohete chino fuera de control.
Estudian agujeros en el fondo del océano
Fue por medio de redes sociales que revelaron imágenes de lo encontrado en el sedimento submarino. Además, indicaron que desconocían quién o qué podría realizarlos.
“Mientras parecen hechos casi humanos, las pequeñas pilas de sedimento alrededor de los agujeros les hacen parecer como si hubieran sido excavados por… algo”, indicó la NOAA.
Cabe mencionar que indicaron que no es la primera ocasión en la que realizan un descubrimiento de este estilo. Por esta razón, pidieron ayuda de los seguidores para encontrar una investigación.
De inmediato la imaginación y el conocimiento de los internautas se hizo presente. Donde las teorías sobre los OVNIS no se hicieron esperar. Sin embargo, son los expertos quienes revelaron la respuesta.
¿Qué son los agujeros en el fondo del océano?
NOAA dio a conocer que llegaron a la conclusión de que los agujeros en el fondo del mar tienen origen biológico. Por lo que se refieren a ellos como “lebensspuren”.
“Esta no fue la primera vez que se han visto este tipo de agujeros en esta región y aunque los científicos no están seguros de cómo se forman, ellos suponen que son probablemente de origen biológico, utilizando el término “lebensspuren“, que se traduce como “vida rastros””, detallaron.
TAL VEZ TE INTERESE: Experto de la UNAM revela cuándo será el fin del mundo.
