En la actualización más reciente compartida por la Comisión Nacional del Agua (Conagua) se dio a conocer que el huracán Milton se ha degradado categoría 4 en la escala Saffir-Simpson. Te compartimos su ubicación en TV Azteca Quintana Roo.
PODRÍA SER DE TU INTERÉS: Milton sigue afectando el clima de Cancún y Quintana Roo HOY 8 de octubre
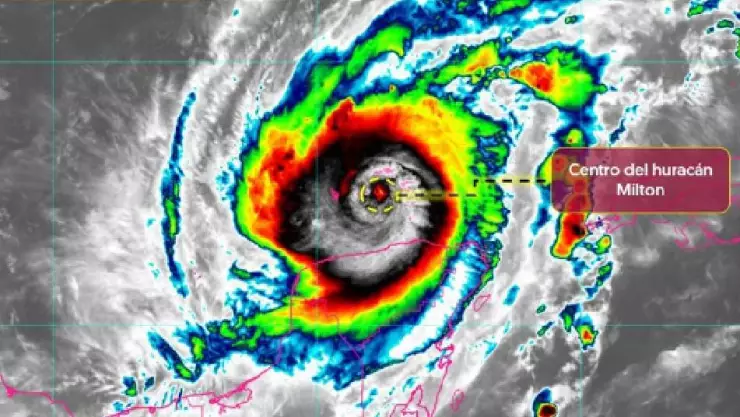
¿Cuál es la ubicación del huracán Milton?
De acuerdo con la información más reciente compartida por la Comisión Nacional del Agua la mañana del martes 8 de octubre de 2024, el centro del huracán Milton, que degradó su categoría a 4 en la escala de Saffir-Simpson, se encuentra a 120 kilómetros al norte de Dzilam y a 120 kilómetros a 120 al nor-noroeste de Río Lagartos, ambas localidades en Yucatán.
De igual manera, informaron que se descontinúa zona de vigilancia por efectos de huracán desde Campeche, hasta Celestún en Yucatán, mientras que se mantiene zona de prevención por posibles efectos de huracán desde Celestún hasta Río Lagartos, Yucatán.
Por su parte, en Quintana Roo tendremos zona de vigilancia por efectos de huracán desde Río Lagartos, Yucatán, hasta Cao Catoche y zona de prevención por los posibles efectos de tormenta tropical desde Río Lagartos hasta Cancún.
Síguenos en nuestro canal de WhatsApp 📲 y conoce todas las noticias de Quintana Roo, México y el mundo.
#Milton continúa como #Huracán categoría 4 en la escala #SaffirSimpson. Su centro se ubica a 120 kilómetros (km) al norte de Dzilam, y a 120 km al nor-noroeste de Río Lagartos, ambas localidades de #Yucatán.
— CONAGUA Clima (@conagua_clima) October 8, 2024
Más información en 👉https://t.co/iGFK4kt0p2 pic.twitter.com/XnIus1P3Qx
¿Cómo afectará al clima?
Se espera que debido a la amplia circulación y bandas nubosas del huracán Milton, se generen lluvias puntuales intensas tanto en Yucatán como en Quintana Roo, mientras que se esperan lluvias puntuales muy fuertes en Campeche y lluvias puntuales fuertes en Veracruz y Tabasco.
Las rachas de viento que se esperan son de 180 a 200 km/h, oleaje de 6 a 8 metros de altura y posible formación de trombas marinas en las costas de Yucatán, mientras que en Campeche y Quintana Roo se esperan rachas de 120 a 150 km/h, oleaje de 4 a 6 metros y la posible formación de trombas marinas.
PODRÍA SER DE TU INTERÉS: FOTOS: Huracán Milton destruye el muelle de Chelem en su paso por Yucatán
📲 ¡Síguenos en nuestras redes sociales! Y recuerda que nos puedes dejar tus comentarios, reportes viales y más en Facebook , Twitter, Instagram y TikTok.
Disfruta de la programación EN VIVO de TV Azteca Quintana Roo, aquí el enlace www.aztecaquintanaroo.com/envivo
